Geselligkeit – Gemeinsamkeit, die verbindet

Das Jahr der Zunftwinzer kennt nicht nur Schnitt, Lese und Kelterung – es ist genauso reich an gemeinsamen Momenten: Stamm, Ausflug, Räbesunntig oder Familiengrill machen aus dem Weinbau eine gemeinsam gelebte Zunfttradition. Darauf stossen wir gerne an!

Arbeitseinsätze in den Rebbergen

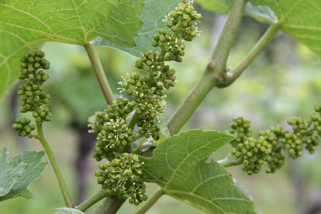
Ein besonderer und wichtiger Teil der Zunftwinzer-Aktivitäten sind die gemeinsamen Arbeitseinsätze in den Rebbergen. Mehrmals im Jahr treffen sich die Winzer, um gemeinsam zu schneiden, zu binden, zu lauben oder zu lesen. So wichtig wie die Arbeit ist das Miteinander: Jeder Handgriff trägt dazu bei, gesunde Reben und hochwertige Trauben zu fördern, die die Grundlage für einen exzellenten Wein bilden.

Nach getaner Arbeit geniessen die Zunftwinzer, wenn immer möglich, direkt zwischen den Reben ein wohlverdientes Glas Wein. Diese Momente verbinden Tradition, Stolz und Geselligkeit auf ganz besondere Weise – sie machen spürbar, was Gemeinschaft im Rebberg wirklich bedeutet.

Räbesunntig

Am Sonntag vor den Sommerferien findet in der Klus das Winzerfest "Räbesunntig" statt. Der Tag beginnt feierlich mit einem Rebgottesdienst, dann laden rund zehn Klus-Winzer die Gäste in ihre Beizli ein, um den neuen Jahrgang zu verkosten und kulinarische Winzerspezialitäten zu geniessen. Die Zunftwinzer betreiben das Beizli "Zum Urban" für die E. Zunft zu Rebleuten.

Räbwache

In Erinnerung an die Zeiten, als der Rebwächter (Bammert) die Traubenernte mit Flinte und Schrot vor Vogelfrass, Wildschaden und Dieben schützte, organisieren verschiedene Winzer von Anfang September bis Ende Oktober an sechs bis acht aufeinanderfolgenden Sonntagen die "Räbwacht". Beim Wächterhüsli, mitten im Klusberg, laden die Winzer Gäste zu Köstlichkeiten aus Keller und Küche ein. Auch wir Zunftwinzer sind mit unserem Beizli jeweils am Buss- und Bettag mit dabei.

Zunftwinzerausflug

Die Zunftwinzerausflüge finden alle 2 Jahre statt und führen regelmässig in andere Weinregionen und zu interessanten Sehenswürdigkeiten. Dabei werden Einblicke in verschiedene Anbau- und Kellermethoden gewonnen – eine Mischung aus Weiterbildung, Genuss und Freundschaftspflege.

Zunftwinzerstamm

Alle zwei Monate treffen sich die Zunftwinzer zum Stamm im Restaurant Bundesbahn im Gundeli. Hier tauschen sich die Zünftigen über anstehende Arbeiten, Neuigkeiten, Ernteaussichten und vor allem Privat aus. Der erste Stamm im Jahr und nach den Sommerferien steht allen Zunftbrüdern offen. Am letzten Stamm im Jahr wird traditionellerweise mit allen interessierten Zunftbrüdern ein Rehrücken genossen.

Familiengrill

Ein wichtiger Bestandteil im Jahreskalender ist der Zunftwinzer Familiengrill. Früher wurde er im Herbst, nach der Traubenernte, bei George Richli durchgeführt. Neuerdings findet der Familiengrill im Erlenhof statt. Es treffen sich die Zunftwinzer mit ihren Familien zu einem gemütlichen Nachmittag, inklusive Baden im Pool, was insbesondere bei den Jüngsten sehr gut ankommt. Es wird gemeinsam gegrillt und gelacht. Dieser Anlass verbindet Generationen, stärkt den familiären Zusammenhalt – ein Fest, das Gemeinschaft und Freundschaft in schönster Form zum Ausdruck bringt.

Zunftwinzer Helferessen

Zum Jahresende laden die Zunftwinzer alle Helfer zum traditionellen Helferessen ein. Dieser Anlass ist Dank und Rückblick zugleich – eine Gelegenheit, gemeinsam auf das vergangene Rebjahr anzustossen, besondere Momente Revue passieren zu lassen und den Einsatz aller Beteiligten zu würdigen. Bei einem feinen Essen wird viel gelacht, erzählt und auf ein neues erfolgreiches Jahr im Rebberg geblickt. Das Helferessen bildet den stimmungsvollen Abschluss des Zunftwinzerjahres.

Zunftwinzerversammlung

Nach der Fasnacht wird die Zunftwinzerversammlung durchgeführt. Hier geht es darum, dass der Zunftwinzer-Vorstand auf das vergangene Jahr zurückblickt und die Zunftwinzer informiert über die Bereiche: Aktivitäten, Rebberge, Finanzen und Personelles. Im Anschluss an die Versammlung, die einen offiziellen Charakter hat, findet das Winzer-Mähli statt.